ASTA
Appartamento in Vestone (BS) Procedura n. 361/2022
  • Codice: IMM-0000125080_9
  • N. esperimento: 5
  • N. lotti: Lotto unico
DESCRIZIONE
Dettaglio di vendita

Data di vendita: 10/12/2025
Prezzo base d'asta: € 17.076
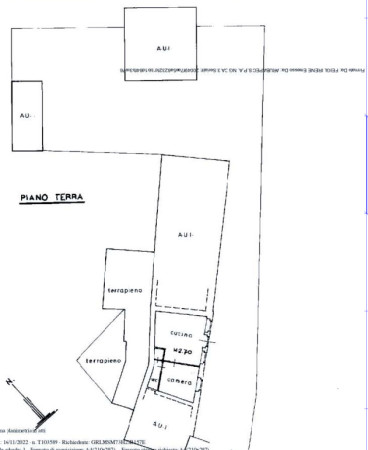
Lotto n. 1 In Comune di Vestone in Via Gargnà n°1 - Unità abitativa e locali di deposito posti all ’interno di un unico fabbricato e una quota parte dei terreni agricoli circostanti. I beni oggetto della vendita sono collocati all’interno di un complesso immobiliare che comprende: un corpo di fabbrica principale costituito da tre piani fuori terra, in cui sono ubicate 4 unità residenziali e alcuni locali deposito posti al piano terra, due corpi di fabbrica di modeste dimensioni in cui sono posti dei locali accessori ed un ampio terreno circostante. Descrizione dettagliata: Il lotto n°1 comprende un’unità abitativa catastalmente individuata al Fg.3 mapp.1244 sub.7 posta al piano terra del corpo di fabbrica principale e composta da un soggiorno-cucina, una camera ed un bagno. Si accede all’appartamento dal cortile comune attraverso una portafinestra in legno con vetro singolo, protetta esternamente da ante in legno. Fa parte del lotto anche il bene catastalmente individuato al Fg.3 mapp.1244 sub.6, posto al piano terra in adiacenza all’unità abitativa precedentemente descritta (Fg.3 mapp.1244 sub.7); esso è composto da: un locale deposito adibito ad autorimessa, un piccolo ripostiglio, un locale deposito ed un ripostiglio finestrati.

Attenzione! Il lotto comprende più immobili; il valore indicato per l’asta si riferisce all’intero lotto complessivo.

ID Bene 2754

Tipo Immobile: Appartamento

Tipologia Catastale: A/3 - Abitazione di tipo economico

Superficie: 107mq2

Classe Energetica: DL 192/2005

ID Bene 3408

Tipo Immobile: Appartamento

Tipologia Catastale: C/2 - Magazzini e locali di deposito

Superficie: 107mq2

Classe Energetica: DL 192/2005

ID Bene 3409

Tipo Immobile: Appartamento

Tipologia Catastale: A/3 - Abitazione di tipo economico

Superficie: 107mq2

Classe Energetica: DL 192/2005

INFORMAZIONI

Per vedere il contenuto accedi o registrati.

VENDI CON NOI  
I campi con * sono obbligatori

Cliccando su INVIA fornisci il consenso al trattamento dei dati come indicato nell' informativa privacy